testata Forum Natura Mediterraneo
Forum | Registrati | Msg attivi | Msg Recenti | Msg Pvt | Utenti | Galleria | Map | Gadgets | Cerca | | FAQ | Regole |NUOVA Tassonomia | Pagina Facebook di Natura Mediterraneo | Google+
Suggerimento: L'iscrizione al nostro Forum è gratuita e permette di accedere a tutte le discussioni.
Cerca
Salva
Password dimenticata

 Galleria Tassonomica
 di Natura Mediterraneo
 


ATTENZIONE! Questo disclaimer è stato aggiornato
1) Ciascuna discussione tratti una sola specie (avviate una discussione separata per ogni specie che volete trattare).
2) Per richiedere la determinazione è molto importante fotografare (da vicino!) il maggior numero possibile di dettagli, ritraendo da diverse angolazioni fiori (corolla, calice, capolini), foglie, steli, base, ecc… Fate anche una foto complessiva della pianta. Scattare una "bella foto", magari del solo fiore, è inutile per l'identificazione: evitatelo.
3) Inserite i dati geografici (provincia, comune, altimetria), la data e l'ambiente di ritrovamento; per piante molto rare evitate una localizzazione troppo precisa (o tali dati verranno nascosti).
4) Le piante si devono trovare in ambiente naturale; le discussioni su quelle coltivate (in giardini, aiuole, vasi), o contenenti piante recise, o sradicate, verranno rimosse.
5) Per le piante alloctone non naturalizzate, ma coltivate o ritratte in Paesi non dell'area mediterranea si usi la sezione "Piante nel mondo", o le discussioni verranno spostate in essa o rimosse.
6) Per ragioni legali, non è possibile discutere della commestibilità delle piante.


 Tutti i Forum
 Forum Piante - Natura Mediterraneo
 PIANTE DA DETERMINARE
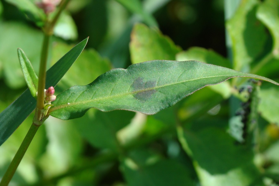
 Persicaria sp.
 Nuova Discussione
 Versione Stampabile my nm Leggi più tardi
I seguenti utenti stanno leggendo questo Forum Qui c'è:
Autore Discussione Precedente Discussione Discussione Successiva  

Valter
Utente Senior


Città: Faro

Regione: Portugal


1925 Messaggi
Flora e Fauna

Inserito il - 08 ottobre 2009 : 08:44:02 Mostra Profilo  Apri la Finestra di Tassonomia

Ciao a tutti,

ho bisogno del vostro aiuto per la determinazione di questa Pianta.

Algarve, Portogallo
03 Ottobre 2009

Ambiente: corso d'acqua

Grazie,
Valter

Immagine:
Persicaria sp.
118,78 KB

Immagine:
Persicaria sp.
145,09 KB

Modificato da - Centaurea in Data 27 novembre 2011 17:06:22

remar88
Utente Senior


Città: pescara

Regione: Abruzzo


1557 Messaggi
Flora e Fauna

Inserito il - 08 ottobre 2009 : 08:49:32 Mostra Profilo Apri la Finestra di Tassonomia
Persicaria sp.
ciaoantonio
Torna all'inizio della Pagina

Valter
Utente Senior


Città: Faro

Regione: Portugal


1925 Messaggi
Flora e Fauna

Inserito il - 08 ottobre 2009 : 08:53:57 Mostra Profilo Apri la Finestra di Tassonomia
Persicaria maculata ???
Link

Modificato da - Valter in data 08 ottobre 2009 08:55:14
Torna all'inizio della Pagina

limbarae
Moderatore


Città: Berchidda
Prov.: Olbia - Tempio

Regione: Sardegna


12842 Messaggi
Flora e Fauna

Inserito il - 08 ottobre 2009 : 10:53:00 Mostra Profilo Apri la Finestra di Tassonomia
Si dovrebbe dire Persicaria maculosa, ma le ocree mi sembrano (ingrandimento dell'immagine) di P. lapathifolia.

"E ora siedo sul letto del bosco che ormai ha il tuo nome
Ora il tempo è un signore distratto, è un bambino che dorme
Ma se ti svegli e hai ancora paura, ridammi la mano
cosa importa, se sono caduto, se sono lontano..."
Faber, Hotel Supramonte
Torna all'inizio della Pagina
  Discussione Precedente Discussione Discussione Successiva  
 Nuova Discussione
 Versione Stampabile my nm Leggi più tardi
Scorciatoia






Natura Mediterraneo © 2003-2024 Natura Mediterraneo Torna all'inizio della Pagina
Questa pagina è stata generata in 1,03 secondi. TargatoNA.it | Movie BackStage | Snitz Forums 2000

Leps.it | Herp.it | Lynkos.net