testata Forum Natura Mediterraneo
Forum | Registrati | Msg attivi | Msg Recenti | Msg Pvt | Utenti | Galleria | Map | Gadgets | Cerca | | FAQ | Regole |NUOVA Tassonomia | Pagina Facebook di Natura Mediterraneo | Google+
Suggerimento: L'iscrizione al nostro Forum è gratuita e permette di accedere a tutte le discussioni.
Cerca
Salva
Password dimenticata

 Galleria Tassonomica
 di Natura Mediterraneo
 



 Tutti i Forum
 Città, Montagne, Laghi, Itinerari, Immagini del Mediterraneo
 IMMAGINI DELLA NATURA
 Cellule di corteccia
 Nuova Discussione
 Versione Stampabile my nm Leggi più tardi
I seguenti utenti stanno leggendo questo Forum Qui c'è:
Autore Discussione Precedente Discussione Discussione Successiva  

Aphyllo
Moderatore

Città: firenze
Prov.: Firenze

Regione: Toscana


9113 Messaggi
Micologia

Inserito il - 23 ottobre 2008 : 19:29:23 Mostra Profilo  Apri la Finestra di Tassonomia

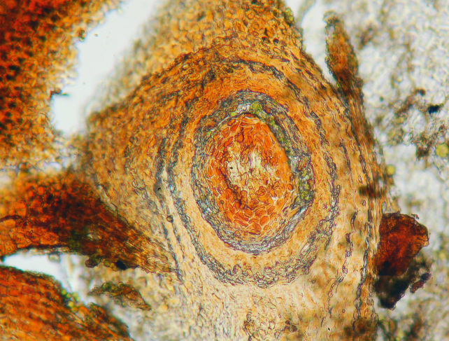
Osservazione al microscopio: una sezione longitudinale dello strato corticale di un rametto. La corteccia era molto sottile e nella zona in corrispondenza di un piccolissimo nodo si potevano ammirare queste cellule ordinate in cerchi.
L'altezza della foto misura 0,5 mm (Foto ingrandita 100 volte)

Immagine:
Cellule di corteccia
284,73 KB

gigi58
Moderatore Trasversale


Città: Trapani
Prov.: Trapani

Regione: Sicilia


17657 Messaggi
Tutti i Forum

Inserito il - 23 ottobre 2008 : 19:32:36 Mostra Profilo Apri la Finestra di Tassonomia
La natura è veramente luce e colore
Ciao Gigi
Torna all'inizio della Pagina

FOX
Moderatore


Città: BAGNO A RIPOLI

Regione: Toscana


21536 Messaggi
Tutti i Forum

Inserito il - 23 ottobre 2008 : 19:36:58 Mostra Profilo Apri la Finestra di Tassonomia


Ciao Marco,

molta bella, sembra un vero mosaico a incastro..
certo che la microscopia ci riserva sempre delle
sorprese nascoste, un altro mondo...

grazie

simo



Alto è il prezzo quando si sfida per vanità il mistero della Natura - I. Sheehan
Torna all'inizio della Pagina

Cate
Utente Senior


Città: Nettuno
Prov.: Roma

Regione: Lazio


3615 Messaggi
Flora e Fauna

Inserito il - 23 ottobre 2008 : 21:20:41 Mostra Profilo Apri la Finestra di Tassonomia
La natura al microscopio assume tutt'altro aspetto, che noi a occhio nudo non riusciamo a vedere e neanche a immaginare.
La foto è molto bella e originale, complimenti Marco.

Sarebbe interessante poter vedere diverse immagini della natura al microscopio.

Ciao

Cate
"Pochi animali riescono a manifestare il loro umore attraverso le espressioni in modo tanto distinto quanto i gatti"
Konrad Lorenz
Torna all'inizio della Pagina

lynkos
Con altri occhi


Città: Sant'Eufemia a Maiella
Prov.: Pescara

Regione: Abruzzo


17647 Messaggi
Tutti i Forum

Inserito il - 24 ottobre 2008 : 05:18:18 Mostra Profilo Apri la Finestra di Tassonomia
La microscopia è qualcosa che non ho avuto mai il coraggio di approfondire, per paura di non poter più fare a meno... Bell'immagine Marco, grazie.

Sarah Gregg - Con altri occhi


"A cosa serve una grande profondità di campo se non c'è un'adeguata profondità di sentimento?" Eugene Smith, fotografo americano
Torna all'inizio della Pagina
  Discussione Precedente Discussione Discussione Successiva  
 Nuova Discussione
 Versione Stampabile my nm Leggi più tardi
Scorciatoia






Natura Mediterraneo © 2003-2024 Natura Mediterraneo Torna all'inizio della Pagina
Questa pagina è stata generata in 1,37 secondi. TargatoNA.it | Movie BackStage | Snitz Forums 2000

Leps.it | Herp.it | Lynkos.net