|
|
|
|
|
Galleria Tassonomica di
Natura Mediterraneo
|
|
|
| Autore |
Discussione  |
|
|
ul cast
Utente Senior
   
Città: Albizzate
Prov.: Varese
Regione: Lombardia
3002 Messaggi Tutti i Forum |
|
|
ul cast
Utente Senior
   
Città: Albizzate
Prov.: Varese
Regione: Lombardia
3002 Messaggi Tutti i Forum |
Inserito il - 08 febbraio 2016 : 10:17:32
|
Immagine:
255,58 KB Immagine:
230,33 KB Immagine:
217,62 KB Immagine:
211,11 KB |
|
 |
|
|
ul cast
Utente Senior
   
Città: Albizzate
Prov.: Varese
Regione: Lombardia
3002 Messaggi Tutti i Forum |
Inserito il - 08 febbraio 2016 : 10:19:31
|
l'11 gennaio di quest'anno gli sporofiti presentano queste capsule già scure:
Immagine:
215,21 KB Immagine:
190,42 KB Immagine:
241,73 KB |
|
Modificato da - ul cast in data 08 febbraio 2016 10:21:05 |
 |
|
|
ul cast
Utente Senior
   
Città: Albizzate
Prov.: Varese
Regione: Lombardia
3002 Messaggi Tutti i Forum |
Inserito il - 08 febbraio 2016 : 10:23:51
|
ancora gli sporofiti sviluppati, chiusi e aperti per la dispersione delle spore, fotografati il 27 gennaio:
Immagine:
169,21 KB Immagine:
104,63 KB Immagine:
159,24 KB Immagine:
191,4 KB |
|
 |
|
|
ul cast
Utente Senior
   
Città: Albizzate
Prov.: Varese
Regione: Lombardia
3002 Messaggi Tutti i Forum |
Inserito il - 08 febbraio 2016 : 10:27:12
|
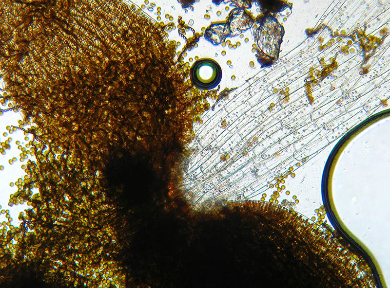
microscopia delle capsule a 40x e 100x:
Immagine:
224,36 KB Immagine:
234,27 KB Immagine:
255,34 KB |
|
 |
|
|
ul cast
Utente Senior
   
Città: Albizzate
Prov.: Varese
Regione: Lombardia
3002 Messaggi Tutti i Forum |
Inserito il - 08 febbraio 2016 : 10:29:25
|
spore ed elateri a 400x:
Immagine:
219,98 KB Immagine:
245,08 KB Immagine:
212,11 KB |
|
 |
|
|
ul cast
Utente Senior
   
Città: Albizzate
Prov.: Varese
Regione: Lombardia
3002 Messaggi Tutti i Forum |
Inserito il - 08 febbraio 2016 : 10:31:31
|
1000x e 1600x:
Immagine:
208,13 KB Immagine:
149,59 KB |
|
 |
|
|
ul cast
Utente Senior
   
Città: Albizzate
Prov.: Varese
Regione: Lombardia
3002 Messaggi Tutti i Forum |
Inserito il - 08 febbraio 2016 : 10:33:53
|
... infine le foglie a 100x e 400x:
Immagine:
256,5 KB Immagine:
231,48 KB Immagine:
216,15 KB
magari si arriva a determinare la specie?
 |
|
Modificato da - ul cast in data 08 febbraio 2016 10:50:05 |
 |
|
|
kolinhar
Utente V.I.P.
  

Città: Cornaredo
Prov.: Milano
Regione: Lombardia
268 Messaggi Tutti i Forum |
Inserito il - 08 febbraio 2016 : 14:23:00
|
Bellissime!!!!!
 |
|
 |
|
|
Bepus
Utente Senior
   

Città: Varese
Prov.: Varese
Regione: Lombardia
1402 Messaggi Micologia |
Inserito il - 08 febbraio 2016 : 16:36:50
|
Che meraviglia; per mia ignoranza non so dove collocarli nella classificazione. Ciao - Beppe |
 |
|
|
Silvia Poponessi
Utente Junior
 
Città: Perugia
Prov.: Perugia
Regione: Umbria
46 Messaggi Tutti i Forum |
Inserito il - 08 febbraio 2016 : 19:42:06
|
Lophocolea bidentata Bellissime foto, complimenti!  |
|
 |
|
|
ul cast
Utente Senior
   
Città: Albizzate
Prov.: Varese
Regione: Lombardia
3002 Messaggi Tutti i Forum |
Inserito il - 08 febbraio 2016 : 23:05:18
|
Grazie ragazzi  e grazie Silvia per la determinazione  |
|
 |
|
| |
Discussione  |
|
|
|
Natura Mediterraneo |
© 2003-2024 Natura Mediterraneo |
 |
|
Leps.it | Herp.it | Lynkos.net
|