testata Forum Natura Mediterraneo
Forum | Registrati | Msg attivi | Msg Recenti | Msg Pvt | Utenti | Galleria | Map | Gadgets | Cerca | | FAQ | Regole |NUOVA Tassonomia | Pagina Facebook di Natura Mediterraneo | Google+
Suggerimento: L'iscrizione al nostro Forum è gratuita e permette di accedere a tutte le discussioni.
Cerca
Salva
Password dimenticata

 Galleria Tassonomica
 di Natura Mediterraneo
 



 Tutti i Forum
 Forum Biologia Marina - Mare Mediterraneo
 MOLLUSCHI DA DETERMINARE
 Bivalve...un aiutino?
 Nuova Discussione
 Versione Stampabile my nm Leggi più tardi
I seguenti utenti stanno leggendo questo Forum Qui c'è:
Autore Discussione Precedente Discussione Discussione Successiva  

rocco il micio
Utente Senior

Città: LOREGGIA
Prov.: Padova


746 Messaggi
Biologia Marina

Inserito il - 04 ottobre 2012 : 21:48:58 Mostra Profilo  Apri la Finestra di Tassonomia

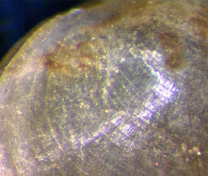
Alto Adriatico, detrito spiaggiato, mm 2,3
Pensavo ad una Kurtiella o ad un cucciolo che non riesco a inquadrare.
Grazie in anticipo per l'eventuale aiuto.
Ennio
Immagine:
Bivalve...un aiutino?
132,07 KB

rocco il micio
Utente Senior

Città: LOREGGIA
Prov.: Padova


746 Messaggi
Biologia Marina

Inserito il - 05 ottobre 2012 : 13:13:52 Mostra Profilo Apri la Finestra di Tassonomia
Ho cercato e trovato che potrebbe essere il cucciolo di Abra tenuis ma mi lascia perplesso il legamento della cerniera, è normale così espanso?
Ennio

Immagine:
Bivalve...un aiutino?
39,06 KB


Modificato da - rocco il micio in data 05 ottobre 2012 13:14:21
Torna all'inizio della Pagina

Giovanni Cantagalli
Utente Senior

Città: Bientina
Prov.: Pisa

Regione: Toscana


1079 Messaggi
Tutti i Forum

Inserito il - 05 ottobre 2012 : 16:08:55 Mostra Profilo Apri la Finestra di Tassonomia
Mi sembra di vedere una granulazione sparsa sulle valve,controlla se sbaglio,questo lo avvicinerebbe di più a uno juv. di thracya
Torna all'inizio della Pagina

rocco il micio
Utente Senior

Città: LOREGGIA
Prov.: Padova


746 Messaggi
Biologia Marina

Inserito il - 05 ottobre 2012 : 21:29:59 Mostra Profilo Apri la Finestra di Tassonomia
Grazie Giovanni, penso che tu abbia ragione sulla granulosità; anche se molto lieve mi sembra si possa dare un giudizio positivo.
Se thracya, quale potrbbe essere? se non chiedo troppo.
Ennio


Immagine:
Bivalve...un aiutino?
103,37 KB
Immagine:
Bivalve...un aiutino?
131,43 KB

Torna all'inizio della Pagina
  Discussione Precedente Discussione Discussione Successiva  
 Nuova Discussione
 Versione Stampabile my nm Leggi più tardi
Scorciatoia






Natura Mediterraneo © 2003-2024 Natura Mediterraneo Torna all'inizio della Pagina
Questa pagina è stata generata in 0,26 secondi. TargatoNA.it | Movie BackStage | Snitz Forums 2000

Leps.it | Herp.it | Lynkos.net