testata Forum Natura Mediterraneo
Forum | Registrati | Msg attivi | Msg Recenti | Msg Pvt | Utenti | Galleria | Map | Gadgets | Cerca | | FAQ | Regole |NUOVA Tassonomia | Pagina Facebook di Natura Mediterraneo | Google+
Suggerimento: Conosci la funzione scorciatoia? Clicca qui!
Cerca
Salva
Password dimenticata

 Galleria Tassonomica
 di Natura Mediterraneo
 


ATTENZIONE! Questo disclaimer è stato aggiornato
1) Ciascuna discussione tratti una sola specie (avviate una discussione separata per ogni specie che volete trattare).
2) Per richiedere la determinazione è molto importante fotografare (da vicino!) il maggior numero possibile di dettagli, ritraendo da diverse angolazioni fiori (corolla, calice, capolini), foglie, steli, base, ecc… Fate anche una foto complessiva della pianta. Scattare una "bella foto", magari del solo fiore, è inutile per l'identificazione: evitatelo.
3) Inserite i dati geografici (provincia, comune, altimetria), la data e l'ambiente di ritrovamento; per piante molto rare evitate una localizzazione troppo precisa (o tali dati verranno nascosti).
4) Le piante si devono trovare in ambiente naturale; le discussioni su quelle coltivate (in giardini, aiuole, vasi), o contenenti piante recise, o sradicate, verranno rimosse.
5) Per le piante alloctone non naturalizzate, ma coltivate o ritratte in Paesi non dell'area mediterranea si usi la sezione "Piante nel mondo", o le discussioni verranno spostate in essa o rimosse.
6) Per ragioni legali, non è possibile discutere della commestibilità delle piante.


 Tutti i Forum
 Forum Piante - Natura Mediterraneo
 PIANTE DA DETERMINARE
 da determinare - Verbascum sp.
 Nuova Discussione
 Versione Stampabile my nm Leggi più tardi
I seguenti utenti stanno leggendo questo Forum Qui c'è:
Autore Discussione Precedente Discussione Discussione Successiva  

Tarabusino87
Utente Junior

Città: napoli


78 Messaggi
Tutti i Forum

Inserito il - 25 giugno 2012 : 19:26:50 Mostra Profilo  Apri la Finestra di Tassonomia

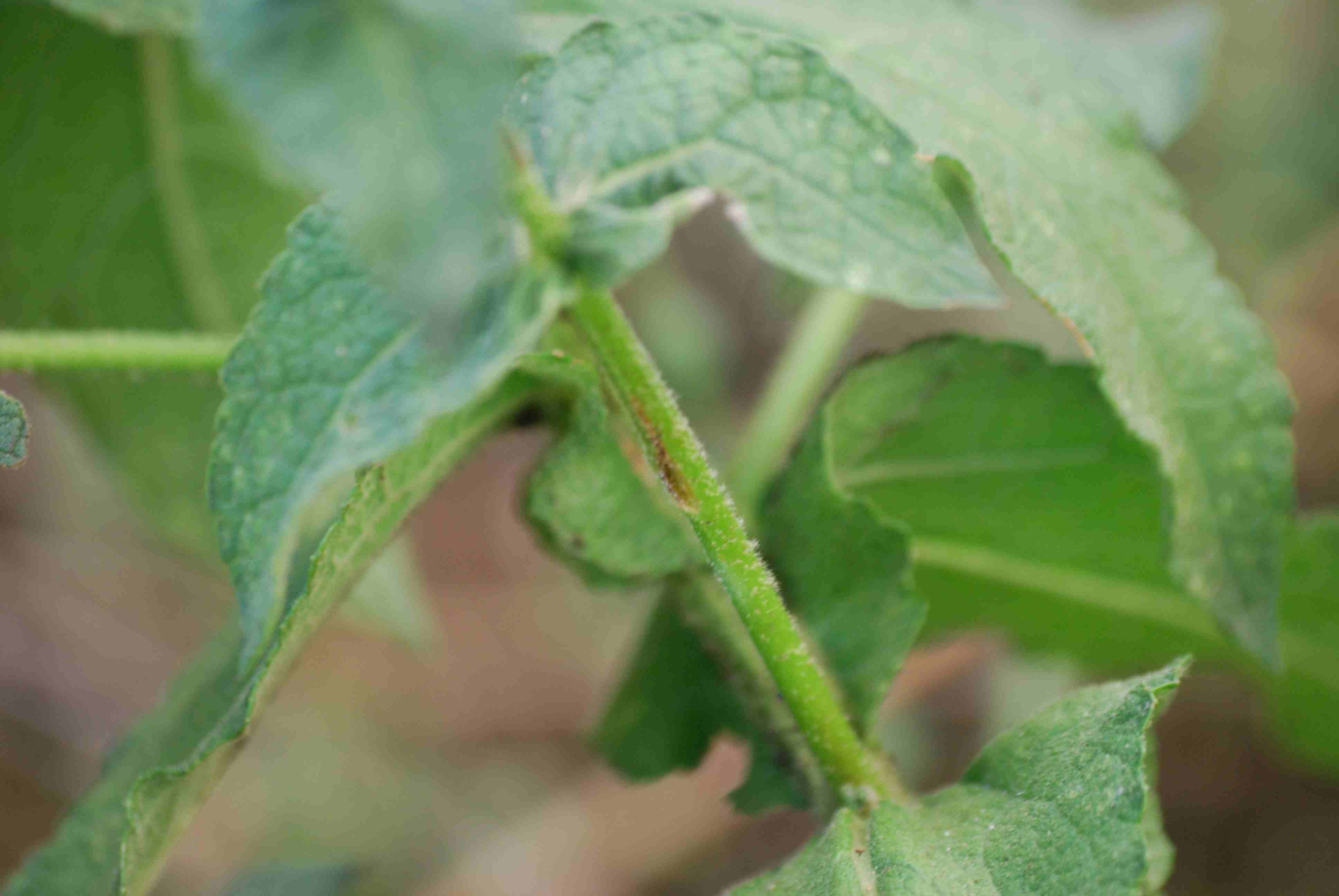
foto scattata a Quarto NA 69m in una campagna abbandonata
Immagine:
da determinare - Verbascum sp.
235,48 KB
Immagine:
da determinare - Verbascum sp.
287,73 KB
Immagine:
da determinare - Verbascum sp.
255,09 KB

Modificato da - Centaurea in Data 01 luglio 2012 11:46:39

Centaurea
Moderatore


Città: Carrara
Prov.: Massa Carrara

Regione: Toscana


8957 Messaggi
Flora e Fauna

Inserito il - 25 giugno 2012 : 20:42:29 Mostra Profilo Apri la Finestra di Tassonomia
Verbascun, forse Verbascum chaixii Vill.

Centaurea
Torna all'inizio della Pagina
  Discussione Precedente Discussione Discussione Successiva  
 Nuova Discussione
 Versione Stampabile my nm Leggi più tardi
Scorciatoia






Natura Mediterraneo © 2003-2024 Natura Mediterraneo Torna all'inizio della Pagina
Questa pagina è stata generata in 0,31 secondi. TargatoNA.it | Movie BackStage | Snitz Forums 2000

Leps.it | Herp.it | Lynkos.net