testata Forum Natura Mediterraneo
Forum | Registrati | Msg attivi | Msg Recenti | Msg Pvt | Utenti | Galleria | Map | Gadgets | Cerca | | FAQ | Regole |NUOVA Tassonomia | Pagina Facebook di Natura Mediterraneo | Google+
Suggerimento: Conosci la funzione scorciatoia? Clicca qui!
Cerca
Salva
Password dimenticata

 Galleria Tassonomica
 di Natura Mediterraneo
 



 Tutti i Forum
 Forum Micologico Natura Mediterraneo
 LICHENI
 Diploschistes: da determinare
 Nuova Discussione
 Versione Stampabile my nm Leggi più tardi
I seguenti utenti stanno leggendo questo Forum Qui c'è:
Autore Discussione Precedente Discussione Discussione Successiva  

zaca
Utente V.I.P.

Città: Lisboa


128 Messaggi
Micologia

Inserito il - 03 ottobre 2010 : 19:12:26 Mostra Profilo  Apri la Finestra di Tassonomia

Un muro di una proprietà trovato copie di quella foto insieme. Penso che sia Diploschistes genere. A differenza di altri che hanno trovato le reazioni chimiche sono: K-, C-, KC + giallo troppo debole. Grazie per l'aiuto nella determinazione della specie.
Grazie,
zaca
Immagine:
Diploschistes: da determinare
210,61 KB

Immagine:
Diploschistes: da determinare
212,84 KB

Toño
Utente Senior


Città: Madrid

Regione: Spain


1352 Messaggi
Micologia

Inserito il - 03 ottobre 2010 : 19:37:18 Mostra Profilo Apri la Finestra di Tassonomia
si c- no creo que sea Diploschistes, los apotecios recuerdan a un Diplotomma.

Ciao
Antonio
Torna all'inizio della Pagina

nimispl
Utente Senior

Città: Trieste
Prov.: Trieste

Regione: Friuli-Venezia Giulia


2313 Messaggi
Tutti i Forum

Inserito il - 03 ottobre 2010 : 20:01:19 Mostra Profilo Apri la Finestra di Tassonomia
...a me invece sembra proprio un Diploschistes.
Per arrivare alla specie bisognerebbe vedere le spore.
ciao a tutti
PL
Torna all'inizio della Pagina

zaca
Utente V.I.P.

Città: Lisboa


128 Messaggi
Micologia

Inserito il - 03 ottobre 2010 : 22:12:51 Mostra Profilo Apri la Finestra di Tassonomia
Grazie a Prof.Nimis ha parlato prima di me, perché mi sembra ancora anche Diplochistes. Penso che, in generale, la apoteci di specie del genere Diplotomma sono più convesse e hanno più fioritura che Diploschistes. Per quanto riguarda le reazioni chimiche è stato di nuovo per vedere i miei dati e C- reazione è chiaro. Forse giallo K + debole invece di K-. Diplochistes hedinianum è un esempio di una specie con K- e C-, ma ci possono essere altri.
Ciao a tutti,
zaca
Torna all'inizio della Pagina

Toño
Utente Senior


Città: Madrid

Regione: Spain


1352 Messaggi
Micologia

Inserito il - 03 ottobre 2010 : 23:16:53 Mostra Profilo Apri la Finestra di Tassonomia
Diplochistes hedinianum ???
Torna all'inizio della Pagina

zaca
Utente V.I.P.

Città: Lisboa


128 Messaggi
Micologia

Inserito il - 03 ottobre 2010 : 23:30:05 Mostra Profilo Apri la Finestra di Tassonomia
Caro Antonio,
Mi scuso per la decadenza. Ho sbagliato e invece di dare un esempio di Diploschistes dei Diplotomma (D. hedinianum). L'esempio ho voluto dare è stato Diploschistes euganeus.
Grazie per la domanda che consente la correzione,
zaca
Torna all'inizio della Pagina

Christiano
Utente Senior

Città: Rixensart
Prov.: Estero

Regione: Belgium


1306 Messaggi
Flora e Fauna

Inserito il - 04 ottobre 2010 : 11:26:48 Mostra Profilo Apri la Finestra di Tassonomia
Ciao Zaca,

Gli apoteci di Diploschistes euganeus non ha affato la stessa struttura (sono in raggi) Non è sicuramente lei.
Strano qui con C- ...
Non conosco l'ambiente naturale di questo campione.
Ciao.

Christian

Modificato da - Christiano in data 04 ottobre 2010 11:28:53
Torna all'inizio della Pagina

zaca
Utente V.I.P.

Città: Lisboa


128 Messaggi
Micologia

Inserito il - 04 ottobre 2010 : 20:45:02 Mostra Profilo Apri la Finestra di Tassonomia
Ciao a tutti.
Caro Christian,
Diploschistes euganeus è stato citato solo per fare un esempio di reazione C negativa con Diploschistes. Non so che tipo, ho trovato solo un testo. Il problema è che ci possono essere altri con le stesse caratteristiche di reazione chimica che io non lo so.
In modo che non sussistono più dubbi con una fotografia con i risultati delle reazioni(Il reagente è stata buona, perché quel giorno ha fatto con altri risultati del test sono stati in colori vivaci).
Per quanto riguarda l'habitat del mio campione, come ho già detto in precedenza vivevano in un muro di cinta di una proprietà. La parete esterna è ricoperta di cemento, ma è una corsa po 'giù e ora ti mancano alcuni pezzi. Gli esemplari trovati sono stati diversi, ma vivono tutti in cima al muro, la più esposta.
Grazie,
zaca
Immagine:
Diploschistes: da determinare
220,95 KB
Torna all'inizio della Pagina

zaca
Utente V.I.P.

Città: Lisboa


128 Messaggi
Micologia

Inserito il - 28 ottobre 2010 : 23:51:51 Mostra Profilo Apri la Finestra di Tassonomia
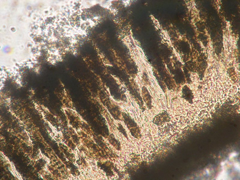
Ciao a tutti,
Le procedure sotto il microscopio di un campione che è stato raccolto il giorno stesso e che questo era distante circa 50 metri. L'allegato di analisi dell'immagine Campione e microscopia dati. Su queste, purtroppo, le immagini delle spore non sono buoni come dovrebbero. Anche così, li allegato.
Ciao,
zaca

Immagine: 1 - Campione analizzato

Diploschistes: da determinare
229,5 KB

Immagine: 2 - Sezione di apothecium [ingrandimento 100x]

Diploschistes: da determinare
125,36 KB

Immagine: 3 - Sezione di apothecium [ingrandimento 200x]

Diploschistes: da determinare
131,14 KB

Torna all'inizio della Pagina

zaca
Utente V.I.P.

Città: Lisboa


128 Messaggi
Micologia

Inserito il - 28 ottobre 2010 : 23:52:31 Mostra Profilo Apri la Finestra di Tassonomia
Immagine: 4 - Sezione di apothecium [ingrandimento 500x]

Diploschistes: da determinare
136,36 KB

Immagine: 5 - Spore

Diploschistes: da determinare
116,4 KB

I dati da spore Piximètre il programma in questa immagine:
28.8 [31.9 ; 36.2] 39.3 x 18 [21.1 ; 25.4] 28.5 µm
Q = 1.2 [1.4 ; 1.6] 1.8 ; N = 6 ; C = 95%
Me = 34.1 x 23.2 µm ; Qe = 1.5
Torna all'inizio della Pagina

PUNTILLO
Utente Senior

Città: Montalto Uffugo
Prov.: Cosenza

Regione: Calabria


1328 Messaggi
Tutti i Forum

Inserito il - 29 ottobre 2010 : 08:23:40 Mostra Profilo Apri la Finestra di Tassonomia
Si dovrebbe trattare di Diploshistes ocellatus.
La specie sembra parassitata.
Torna all'inizio della Pagina

nimispl
Utente Senior

Città: Trieste
Prov.: Trieste

Regione: Friuli-Venezia Giulia


2313 Messaggi
Tutti i Forum

Inserito il - 29 ottobre 2010 : 20:46:01 Mostra Profilo Apri la Finestra di Tassonomia
Sono d'accordo con Puntillo: secondo me è Diploschistes ocellatus.
ciao a tutti
PL
Torna all'inizio della Pagina

zaca
Utente V.I.P.

Città: Lisboa


128 Messaggi
Micologia

Inserito il - 29 ottobre 2010 : 22:20:13 Mostra Profilo Apri la Finestra di Tassonomia
Obrigados, Prof. Nimis e Puntillo, pela vossa identificação.
No entanto, fiquei com uma dúvida:
Os valores das medidas do esporos de D. ocellatus são mais pequenas (24-27 x 10-12 µm, segundo o site Link) que os observados na microscopia (média 34.1 x 23.2 µm). Esta espécie é assim tão variável?
Saudações,
zaca
Torna all'inizio della Pagina
  Discussione Precedente Discussione Discussione Successiva  
 Nuova Discussione
 Versione Stampabile my nm Leggi più tardi
Scorciatoia






Natura Mediterraneo © 2003-2024 Natura Mediterraneo Torna all'inizio della Pagina
Questa pagina è stata generata in 0,38 secondi. TargatoNA.it | Movie BackStage | Snitz Forums 2000

Leps.it | Herp.it | Lynkos.net