|
|
|
|
|
Galleria Tassonomica di
Natura Mediterraneo
|
Nota! La determinazione degli insetti necessita quasi sempre di un'indicazione geografica e temporale precisa. Invitiamo quindi gli utenti ad inserire questi dati ogni volta che viene richiesta una determinazione o viene postata una foto di un insetto. I dati forniti dagli utenti ci consentiranno anche di attribuire un valore scientifico alle segnalazioni, contribuendo a migliorare e integrare le attuali conoscenze sulla distribuzione delle specie postate.
|
|
| Autore |
Discussione  |
|
|
dtvd
Utente Super
    
Città: Avigliana
Prov.: Torino
Regione: Piemonte
6040 Messaggi Tutti i Forum |
Inserito il - 10 giugno 2016 : 09:32:18
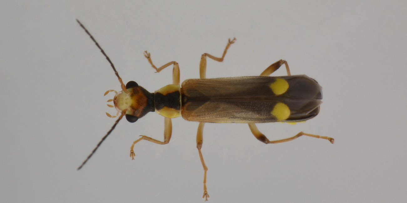
Classe: Hexapoda Ordine: Coleoptera Famiglia: Cantharidae Genere: Malthinus Specie:Malthinus reflexus (cfr.)
|
Sotto le foglie degli alberi, spesso trovo qualcosa(per me) di interessante. In questo caso, avevo trovato questi minuscoli(5 mm. max)Cantharidae, che mi sembra di non aver mai incontrato.
30-4-2016 Contrada Baronessa, Borrello (CH) Immagine:
131,66 KB
Questi due erano molto impegnati, cosi li ho trasferiti nel barattolino per essere sicuro che fossero maschio e femmina.
Immagine:
153,62 KB
Loro erano talmente "concentrati" che neanche si sono accorti(credo )del trasferimento, e sono rimasti per un po ancora cosi.
Come genere mi sembrano dei Malthinus ma per la specie non ne ho idea.
In questo caso, si potrà andare oltre un sp?
Vincenzo
Immagine:
225,1 KB Immagine:
140,76 KB Immagine:
189,77 KB Immagine:
152,44 KB Immagine:
152,37 KB Immagine:
213,72 KB
|
Modificato da - vladim in Data 11 giugno 2016 13:15:36
|
|
|
hutia
Utente Senior
   
Città: piazze
Prov.: Siena
Regione: Toscana
1089 Messaggi
|
Inserito il - 10 giugno 2016 : 13:09:28
|
Malthinus seriepunctatus o Malthinus reflexus (prob. questo ultimo) determinazione del 100% solo con l'edeago Fabrizio |
|
 |
|
|
dtvd
Utente Super
    
Città: Avigliana
Prov.: Torino
Regione: Piemonte
6040 Messaggi Tutti i Forum |
Inserito il - 11 giugno 2016 : 11:56:41
|
Ho provato a vedere se riuscivo a distinguere qualche differenza tra le due specie.
Però se mi dici che probabilmente potrebbe essere un Malthinus reflexus Mi sentirei quasi di archiviarlo con questo epiteto! ...magari con un bel CFR. 
Ma comunque, anche se non si riuscisse a distinguere la specie, ti ringrazio per l'intervento Fabrizio.
  Vincenzo |
|
 |
|
| |
Discussione  |
|
|
|
Natura Mediterraneo |
© 2003-2024 Natura Mediterraneo |
 |
|
Leps.it | Herp.it | Lynkos.net
|