|
|
|
|
|
Galleria Tassonomica di
Natura Mediterraneo
|
Nota! La determinazione degli insetti necessita quasi sempre di un'indicazione geografica e temporale precisa. Invitiamo quindi gli utenti ad inserire questi dati ogni volta che viene richiesta una determinazione o viene postata una foto di un insetto. I dati forniti dagli utenti ci consentiranno anche di attribuire un valore scientifico alle segnalazioni, contribuendo a migliorare e integrare le attuali conoscenze sulla distribuzione delle specie postate.
|
|
| Autore |
Discussione  |
|
|
Dappertutto
Utente Senior
   
Città: Caselette
Prov.: Torino
Regione: Piemonte
630 Messaggi Tutti i Forum |
Inserito il - 06 ottobre 2013 : 22:08:18
|
Oggi attraversando un malandato campo di mais ho trovato su una infestante di questa coltura, il c.d. cencio molle (Abutilon theophrasti), diverse larve di nottua penso. Sul momento, poichè erano di diversa grandezza, ho pensato si trattasse di larve di età diversa di una stessa specie, però rivedendo le foto ho dubbi. Mi scuso se posto diverse foto, ma credo che in siffatto modo il tema acquisti più congruo significato. Incomincio da quella più grande
Immagine:
156,12 KB
Qui un'altra più o meno della stessa dimensione ma di colore di fondo diverso pur presentando un similare disegno (vivendo sulla stesso ospite immagino che la differenza di colore non sia dovuta alla dieta)
Immagine:
147,47 KB
Una direi giovane che sembra stia fuoriuscendo dal frutto
Immagine:
110,38 KB
Queste stanno proprio dentro il frutto
Immagine:
145,93 KB
Infine ho pensato di riassumere facendo un "mazzetto" didascalico, e rivedendo ecco che la più grande mi è sembrata diversa
Immagine:
116,07 KB
Ultima immagine: qui non capisco cosa stia succedendo (sembra semi-imbozzolata)
Immagine:
168,78 KB
|
Modificato da - Dappertutto in Data 06 ottobre 2013 22:11:20
|
|
|
Andromeda
Moderatore
    

Città: Viadana
Prov.: Mantova
Regione: Lombardia
12520 Messaggi Tutti i Forum |
Inserito il - 06 ottobre 2013 : 22:47:11
|
Tutte Helicoverpa armigera, Noctuidae. L'ultimo non sta niente bene, sembra attaccato da un fungo o forse da parassiti, nella 4^ foto si vedono i bozzoli del parassitoide dentro il frutto.

|
Tiziana
"Osservare le farfalle è gioia pura: ...è un'attività che, se non sconfigge il tempo, almeno lo sospende, tutto il resto intorno si scolora e rimane solo l'attimo che stiamo vivendo." Vladimir Nabokov
|
Modificato da - Andromeda in data 06 ottobre 2013 22:53:47 |
 |
|
|
Dappertutto
Utente Senior
   
Città: Caselette
Prov.: Torino
Regione: Piemonte
630 Messaggi Tutti i Forum |
Inserito il - 06 ottobre 2013 : 23:27:26
|
Grazie. Per me è buona cosa aver fotografata personalmente la nottua gialla del pomodoro. Curioso però su una malvacea mentre sulle vicine piante di mais ho trovato solo qualche solita cimice. Non ho capito dove vedi i bozzoli del parassitoide (intendi parassitoide di H. armigera?) |
|
 |
|
|
VAleP
Utente V.I.P.
  

Prov.: Brescia
Regione: Lombardia
410 Messaggi Tutti i Forum |
Inserito il - 07 ottobre 2013 : 00:37:28
|
Faccio un'ipotesi basata su un campione ridottissimo di mie esperienze personali: io ho notato che dipende dal grado di sviluppo del mais al momento dell'"invasione". Nell'orto tengo alcune piante di mais da pop-corn: l'anno scorso l'ho seminato in ritardo e me l'hanno massacrato, quest'anno, invece l'ho seminato prima ed è stato risparmiato, nonostante i simpatici bruchi fossero presenti (puntuali come ogni anno, sui pomodori). Probabilmente se la pannocchia ha già iniziato a "indurirsi" al momento della schiusa preferiscono rivolgersi altrove. Non è comunque da escludere che il mais sia stato visitato in precedenza e poi abbandonato: mi è capitato anche che alcune pannocchie non presentassero a un primo sguardo segni di alimentazione, ma che, una volta aperte, si rivelassero tutte erose, senza che il colpevole fosse presente: il foro di ingresso/uscita era molto vicino allo stelo e il danno era stato fatto in una fase precoce di maturazione.
 |
|
 |
|
|
Dappertutto
Utente Senior
   
Città: Caselette
Prov.: Torino
Regione: Piemonte
630 Messaggi Tutti i Forum |
Inserito il - 07 ottobre 2013 : 12:18:22
|
| Ipotesi senz'altro condivisibile, anche perchè direi (e riguardando le foto mi confermo in tale idea)che nel caso presentato le larve forano i frutti per nutrirsi del loro contenuto. Domani magari ritorno (tanto vado sempre a passeggiare col cane) e guardo meglio anche sul mais, e nelle vicinanze su campi di soia che hanno ancora i baccelli, se trovo su altri ospiti questo fitofago(che tra l'altro è inserito nella Lista di allerta A2 della EPPO). |
|
 |
|
|
Andromeda
Moderatore
    

Città: Viadana
Prov.: Mantova
Regione: Lombardia
12520 Messaggi Tutti i Forum |
Inserito il - 07 ottobre 2013 : 21:51:05
|
| Messaggio originario di Dappertutto:
Non ho capito dove vedi i bozzoli del parassitoide (intendi parassitoide di H. armigera?)
|
Magari mi sbaglio ma a me questi sembrano due bozzoli dell'insetto che può aver usato il bruco di H. armigera per compiere il suo ciclo vitale. Quale sia la specie però...non ne ho idea Immagine:
66,52 KB |
Tiziana
"Osservare le farfalle è gioia pura: ...è un'attività che, se non sconfigge il tempo, almeno lo sospende, tutto il resto intorno si scolora e rimane solo l'attimo che stiamo vivendo." Vladimir Nabokov
|
 |
|
|
Dappertutto
Utente Senior
   
Città: Caselette
Prov.: Torino
Regione: Piemonte
630 Messaggi Tutti i Forum |
Inserito il - 08 ottobre 2013 : 01:19:50
|
Ho provato a fare una piccola ricerca e ho trovato molti articoli inerenti parassitoidi di H. armigera: ovviamente si riferiscono a studi fatti non in Italia ma immagino che anche da noi la nottua abbia i suoi antagonisti. Ho provato anche a ingrandire la foto ma la definizione si perde, e in ogni caso non saprei giudicare se quell'organismo bianco è una pupa di un icneumodide o un tricogrammide o braconide o un tachinide (quel che riesco a vedere ha, diciamo, l'aspetto di una "larvetta" con un capo più grande del corpo e leggermente ripiegato, ma non scorgo occhi o appendici). Però la cosa mi stuzzica e vorrei ritornare sul luogo per prelevare se possibile materiale...tempo e altre circostanze permettendo. Ciao Alessandro |
|
 |
|
|
Dappertutto
Utente Senior
   
Città: Caselette
Prov.: Torino
Regione: Piemonte
630 Messaggi Tutti i Forum |
Inserito il - 08 ottobre 2013 : 13:54:08
|
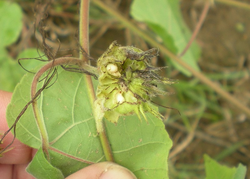
Risolto. Ho raccolto materiale, e poi a casa, inforcati gli occhiali, ho potuto constatare che i robini bianchi altro non erano che i semi dell'abutilon, il nutrimento evidentemente cercato in questo periodo dalle larve in mezzo al campo di mais ormai maturo.
Immagine:
64,53 KB
Immagine:
76,38 KB
Ho trovato anche, credo, dei miridi, ma non saprei cosa andassero rovistando sul cencio molle.
Immagine:
59,41 KB
Immagine:
79,3 KB |
|
 |
|
|
Andromeda
Moderatore
    

Città: Viadana
Prov.: Mantova
Regione: Lombardia
12520 Messaggi Tutti i Forum |
Inserito il - 08 ottobre 2013 : 21:31:50
|
| Messaggio originario di Dappertutto:
Risolto. ...i robini bianchi altro non erano che i semi dell'abutilon, il nutrimento evidentemente cercato in questo periodo dalle larve in mezzo al campo di mais ormai maturo.
|
Ho preso un grandioso abbaglio!  Chiedo scusa Possibile che il bruco sia stato ferito allora?
|
Tiziana
"Osservare le farfalle è gioia pura: ...è un'attività che, se non sconfigge il tempo, almeno lo sospende, tutto il resto intorno si scolora e rimane solo l'attimo che stiamo vivendo." Vladimir Nabokov
|
 |
|
|
Mizar
Utente Super
    
Città: Napoli
Prov.: Napoli
Regione: Campania
12048 Messaggi Tutti i Forum |
Inserito il - 12 ottobre 2013 : 21:00:23
|
Ma non potrebbe essere semplicemente una muta ? |
Verrà il giorno in cui uccidere un animale sarà considerato un delitto al pari di uccidere un uomo. (Leonardo da Vinci) |
 |
|
| |
Discussione  |
|
|
|
Natura Mediterraneo |
© 2003-2024 Natura Mediterraneo |
 |
|
Leps.it | Herp.it | Lynkos.net
|