testata Forum Natura Mediterraneo
Forum | Registrati | Msg attivi | Msg Recenti | Msg Pvt | Utenti | Galleria | Map | Gadgets | Cerca | | FAQ | Regole |NUOVA Tassonomia | Pagina Facebook di Natura Mediterraneo | Google+
Suggerimento: Lo sapevi che puoi aggiungere le informazioni di Google Map nel Forum? Clicca qui!
Cerca
Salva
Password dimenticata

 Galleria Tassonomica
 di Natura Mediterraneo
 


Nota! La determinazione degli insetti necessita quasi sempre di un'indicazione geografica e temporale precisa.
Invitiamo quindi gli utenti ad inserire questi dati ogni volta che viene richiesta una determinazione o viene postata una foto di un insetto. I dati forniti dagli utenti ci consentiranno anche di attribuire un valore scientifico alle segnalazioni, contribuendo a migliorare e integrare le attuali conoscenze sulla distribuzione delle specie postate.


 Tutti i Forum
 Forum Animali - Natura Mediterraneo
   INSETTI
 Coleoptera e Strepsiptera
 Xylotrechus (s.str.) stebbingi
 Nuova Discussione
 Versione Stampabile my nm Leggi più tardi
I seguenti utenti stanno leggendo questo Forum Qui c'è:
Autore Discussione Precedente Discussione Discussione Successiva  

robivet
Utente V.I.P.

Città: Abbiategrasso
Prov.: Milano


203 Messaggi
Tutti i Forum

Inserito il - 06 luglio 2010 : 17:11:30 Mostra Profilo  Apri la Finestra di Tassonomia

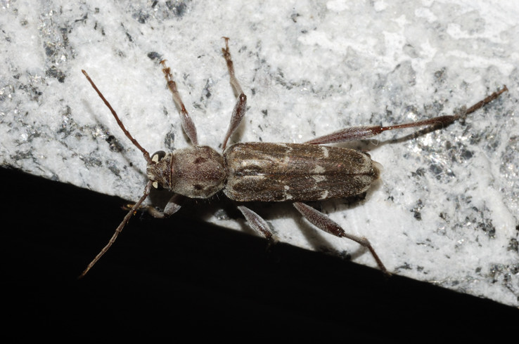
Classe: Hexapoda Ordine: Coleoptera Famiglia: Cerambycidae Genere: Xylotrechus (s.str.) Specie: Xylotrechus (s.str.) stebbingi
Fotografato il 4-6-2010 ad Abbiategrasso (Mi) in casa.... aiuto !!
Credo si tratti di uno Xylotrechus stebbingi o smei, non so...
spero siano sfarfallati da un ciocco da ardaere che mi è rimasto
dallo scorso anno e non abbiano deposto presso strutture di casa

Xylotrechus (s.str.) stebbingi
125,97 KB

Xylotrechus (s.str.) stebbingi
131,7 KB

Modificato da - StagBeetle in Data 06 luglio 2010 18:32:43

Gianfranco Sama
Utente Senior

Città: Cesena
Prov.: Forlì-Cesena

Regione: Emilia Romagna


516 Messaggi
Tutti i Forum

Inserito il - 06 luglio 2010 : 17:26:01 Mostra Profilo Apri la Finestra di Tassonomia
Xylotrechus stebbingi Gahan, 1906
Depone in legno morto anche da tempo, ma normalmente non quello trattato dei mobili di casa. Se poi ne è sfarfallato uno solo che, fra l'altro, sembra un maschio ..
Torna all'inizio della Pagina

Gianfranco Sama
Utente Senior

Città: Cesena
Prov.: Forlì-Cesena

Regione: Emilia Romagna


516 Messaggi
Tutti i Forum

Inserito il - 06 luglio 2010 : 17:27:07 Mostra Profilo Apri la Finestra di Tassonomia
Giacomo, per la precisione
Xylotrechus (s.str.) stebbingi Gahan, 1906
Torna all'inizio della Pagina

robivet
Utente V.I.P.

Città: Abbiategrasso
Prov.: Milano


203 Messaggi
Tutti i Forum

Inserito il - 06 luglio 2010 : 17:46:30 Mostra Profilo Apri la Finestra di Tassonomia
Grazie Gianfranco
Ciao
Torna all'inizio della Pagina
  Discussione Precedente Discussione Discussione Successiva  
 Nuova Discussione
 Versione Stampabile my nm Leggi più tardi
Scorciatoia






Natura Mediterraneo © 2003-2024 Natura Mediterraneo Torna all'inizio della Pagina
Questa pagina è stata generata in 0,85 secondi. TargatoNA.it | Movie BackStage | Snitz Forums 2000

Leps.it | Herp.it | Lynkos.net